株式会社ビーハウジング

滝沢市 室小路 住宅用地

販売中
建築条件付き
ドラッグストア徒歩10分以内
1/8

燦々と降り注ぐ陽光が魅力の「南面道路」の土地。向かいの建物と距離が保てるため、プライバシーを守りつつ開放的な住まいが叶います。冬場も明るく暖かい、光に満ちた理想のマイホームを室小路で実現しませんか。

物件情報

情報更新日

2026年04月10日 13:59

販売価格

1180万円

間取り

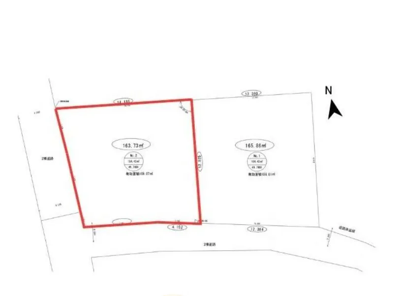
土地面積

163.73 m² [49.53坪]

建物面積

構造

住所

岩手県滝沢市室小路

土地の権利形態

所有権

完成時期

所在地MAP

物件情報

所在地

岩手県滝沢市室小路

交通

【バス】岩手県交通 諸葛川 停歩1分

土地面積

163.73 m² [49.53坪]

建物面積

建ぺい率・容積率

60%、200%

間取り

建物構造

駐車場

道路付け

私道負担・道路

なし

負担金

電気

上水道

下水道

ガス

プロパンガス

都市計画

開発面積

用途地域

1種住居

地目

宅地

土地の権利

所有権

借地権の種類・期間

取引条件の有効期限

建築確認番号

制限事項

特記事項

整形地

販売価格

1180万円

販売区画・戸数

総区画・戸数

造成完了時期

完成時期

引き渡し時期

即時 / 更地渡

売主

取引形態

_

学区情報

備考

情報更新日

2026/04/10

次回更新予定日

2026/04/24

販売会社情報

社名

株式会社ビーハウジング

所在地

岩手県滝沢市土沢306-2 2F

営業時間

9:00 ~ 17:00

定休日

火、水

電話番号

019-681-6801

FAX

019-681-6802

建築許可番号

宅建取引業許可:岩手県知事(3)第2471号

宅建業免許番号

所属団体名及び公正取引協議会加盟事業者

(公社)全日本不動産協会会員
東北地区不動産公正取引協議会加盟

閲覧履歴

arrow